Aqua.c1ub.net
*
  Sat 29/Nov/2025
หน้า: 1 2 3   ลงล่าง
พิมพ์
ผู้เขียน หัวข้อ: ของฝากจากทะเลไทย นำเสนอตอน "อันดามันใต้" ครับ  (อ่าน 18629 ครั้ง)
un_petit_garcon ออฟไลน์
Club Brother
« เมื่อ: 23/11/14, [01:18:09] »
ตอบโดยอ้างถึงข้อความ

สืบเนื่องจากเมื่ออาทิตย์สองอาทิตย์ที่ผ่านมา ผมมีโอกาสไปเที่ยวเล่นลงเรือ เอาหัวจุ่มน้ำแถวๆ อันดามันใต้ หลายเกาะพอสมควรเลย เก็บรูปมาได้มากมายครับ คุณมอดท่านเลยยุยงส่งเสริมให้ผมเอารูปที่ถ่ายมาแบ่งปันให้กับเพื่อนผองน้องพี่ได้รับชมกัน เพื่อที่จะได้เห็นความสวยงามของท้องทะเลไทย และอาจได้รับเกร็ดความรู้เล็กๆ น้อยๆ ติดไม้ติดมือไปครับ

อนึ่ง ต้องขอบอกก่อนเลยว่า การนำเสนอภาพต่างๆ ของผมในครั้งนี้ มิได้มีเจตนาให้ใครก็ตามไปเก็บเกี่ยวผลประโยชน์เหล่านี้จากธรรมชาติในพื้นที่อุทยานหรือพื้นที่หวงห้ามนะครับ จะว่าไป แม้แต่พื้นที่เปิดก็ไม่ควรด้วยเช่นกัน เว้นแต่เป็นพื้นที่ที่จัดสรรไว้เพื่อการนี้โดยเฉพาะ ซึ่งในเมืองไทยก็ไม่มีเสียด้วย เพราะทรัพยากรเหล่านี้มีค่าต่อปากท้องของผู้ที่เกี่ยวข้องกับอุตสาหกรรมการท่องเที่ยวหลายๆ คน และทำเงินให้กับประเทศชาติได้เป็นกอบเป็นกำ มันมีค่ามากกว่าที่จะมาอยู่ในตู้ของเราแน่นอนครับ

อีกเรื่องหนึ่ง แม้กล้องผมจะง่อย ไฟฉายผมจะราคาถูก ฝีมือถ่ายรูปผมจะห่วยแตก รูปออกมาอาจจะดูไม่ได้เรื่อง แม้ผมจะไม่ได้ใส่ Signature เอาไว้ แต่ถ้าอยากจะเอารูปผมไปใช้ประโยชน์อันใด รบกวนบอกกล่าวกันสักหน่อยนะครับ ไม่ได้หวงหรือว่าอะไร แต่การนำไปใช้ประโยชน์ไม่ว่าจะเป็นทางการค้าหรือไม่โดยไม่บอกกล่าวกันก่อน ผมถือว่าเป็นการละเมิดลิขสิทธิ์นะครับ

อ้อ ฝากคุณมอดหน่อยนะครับ ถ้าหากต้องย้ายห้องไปอยู่ห้องไหนตามแต่ความเหมาะสมและเห็นสมควร รบกวนด้วยนะครับ

ขออนุญาตลงรูปแรกเลย เป็นรูปถ่ายของเรือที่พาเราไปดำน้ำยังเกาะแก่งต่างๆ ครับ ฝีมือคุณมอดของเราเอง งานนี้ถ่ายที่ Shark Point ครับ
un_petit_garcon ออฟไลน์
Club Brother
« ตอบ #1 เมื่อ: 23/11/14, [01:25:25] »
ตอบโดยอ้างถึงข้อความ

อันนี้หอยอะไรไม่แน่ใจ คุณพี่ป๊อปท่านว่าเป็นหอยเชลล์ ถ้าเป็นจริงนี่ น่าจับมาลงตู้สวยๆ ก่อนสักสามวัน แล้วค่อยจับมาอบเนยกระเทียมซะนะ 5555




นูดีสีม่วงๆ น่ารักเนาะ เลี้ยงไม่รอดในระบบปิดนะครับ




ดาวขนนก เกาะอยู่กับกิ่งกัลปังหา จริงๆ สีมันสวยนะ แต่ไฟฉายผมมันส่องได้แค่นั้น เลยเห็นสีแค่นั้นเอง 55555

un_petit_garcon ออฟไลน์
Club Brother
« ตอบ #2 เมื่อ: 23/11/14, [01:30:25] »
ตอบโดยอ้างถึงข้อความ

กระเบนทรายครับ ด้วยการลอยตัวผมที่แสนจะกาก พอเข้าไปใกล้ อารามตกใจว่ายหนีเลย แต่คุณพี่ป๊อป คุณมอดท่านของเราก็ไม่ลดละซึ่งความพยายามในการคว้ากล้องผมไปตามถ่าย รูปนี้จึงเป็นอีกรูปที่ต้องเครดิตคุณพี่ป๊อปครับ




มอนติครับมอนติ มอนติงามๆ ครับ แต่ไฟฉายไม่แรงครับ เลยไม่เห็นสีเลย

un_petit_garcon ออฟไลน์
Club Brother
« ตอบ #3 เมื่อ: 23/11/14, [01:34:35] »
ตอบโดยอ้างถึงข้อความ

ลูกโป่งไทย สีชมพูระเรื่อประหนึ่งสาวแรกแย้ม รูปนี้มีสีขึ้นมาได้ เพราะถ่ายใกล้สุดๆ แบบหน้าผมแทบจะซุกลงไปในกอลูกโป่งละ 5555




ถ้วยส้มไทย ใครว่าไม่เจ๋งครับ ในรูปนี่ ใหญ่อย่างกะซุปเปอร์ซันแน่ะครับ




ฝูงปลาข้างเหลืองในเวิ้งน้ำอันกว้างใหญ่



un_petit_garcon ออฟไลน์
Club Brother
« ตอบ #4 เมื่อ: 23/11/14, [01:41:53] »
ตอบโดยอ้างถึงข้อความ

อันนี้ไม่บอกก็คงรู้เนอะว่าคืออะไร 5555  ของสามัญประจำบ้านขนาดนี้ 5555 แต่บอกหน่อยก็ได้ เผื่อมือใหม่หลายคนไม่รู้ แอนก้นม่วงครับ




การตัดสลับสีกันของปะการังโขดสีเขียวและสีน้ำตาล สวยดีนะครับ




ปักเป้าหน้าหมาของเรากำลังนอนอุตุอุตังในยามค่ำคืนแบบกำลังได้ที่ 55555




กัลปังหา ทั้งยามหุบและยามบาน เวลามันบานเป็นปุยขาวๆ นี่สวยเนอะ ผมก็ชอบจนอยากเลี้ยงมั่งเลย 5555 แต่ รอดยากครับ







un_petit_garcon ออฟไลน์
Club Brother
« ตอบ #5 เมื่อ: 23/11/14, [01:42:24] »
ตอบโดยอ้างถึงข้อความ

เด๋ววันอื่นมาต่อนะ ง่วงละ
Longhairguy ออฟไลน์
Shrimp Admin
« ตอบ #6 เมื่อ: 23/11/14, [01:44:29] »
ตอบโดยอ้างถึงข้อความ

เยี่ยมครับ ดำไปถ่ายรูปไปน่าสนุก
Romeo_Pop ออฟไลน์
Level 5 Moderator
« ตอบ #7 เมื่อ: 23/11/14, [09:40:07] »
ตอบโดยอ้างถึงข้อความ

งามๆเนอะเอามาอีกเยอะ [เจ๋ง]
ป.ล.ถ้วยส้มมันหักปักพื้นทรายอยู่แล้วนะเราแค่หยิบมาถ่ายแล้วหาทำเลปลูกใหม่ให้สวยๆ
jamprince ออฟไลน์
Club Member
« ตอบ #8 เมื่อ: 23/11/14, [10:06:22] »
ตอบโดยอ้างถึงข้อความ

 cryingrun cryingrunเอาอีก...เอาอีก cryingrun cryingrunเอาอีก...เอาอีก  ฮือๆๆๆๆๆๆๆ cryingrun
un_petit_garcon ออฟไลน์
Club Brother
« ตอบ #9 เมื่อ: 23/11/14, [11:47:17] »
ตอบโดยอ้างถึงข้อความ

อันนี้เห็นเขาว่าเป็นถ้วยดำกิ่งหรืออะไรสักอย่าง จำชื่อแน่นอนไม่ได้ เนื่องจากถ่ายตอนกลางวัน มันเลยยังไม่สู้บานเท่าไหร่ แต่ขอบอกว่า ตอนบานเต็มทั้งกิ่งตอนกลางคืนนี่ สวยมากๆ เลยครับ

[/url]


อันนี้เป็นช่อสี สีแดง จากที่หินแดง ครับ

un_petit_garcon ออฟไลน์
Club Brother
« ตอบ #10 เมื่อ: 23/11/14, [11:52:16] »
ตอบโดยอ้างถึงข้อความ

ภาพวิวทิวทัศน์ใต้ทะเล บริเวณหินม่วงหินแดง เอามาฝากครับ




ปลาชนิดนี้ หลายคนคงคุ้นเคยกันดี และหลายคนก็คงชอบครับ ^^" ผมเองก็ชอบมาก แต่ว่าอยู่ในตู้เรา อายุสั้นหน่อย และก็กินก้นตู้ด้วย เลยขอลาดีกว่าครับ 5555 อยากเห็นเลยต้องไปดูใต้ทะเลแทน อ้อ ลืมบอกชื่อเลย เอ็มเพอเรอร์ แองเจิ้ล ตัวเต็มวัย ชื่อพื้นบ้าน เอ็มลายแม่




ช่อสี สีม่วง จากบริเวณหินม่วงครับ

un_petit_garcon ออฟไลน์
Club Brother
« ตอบ #11 เมื่อ: 23/11/14, [11:55:26] »
ตอบโดยอ้างถึงข้อความ

สาหร่ายมู่ลู่ ซ้วยสวย น่าเสียดาย เลี้ยงในตู้ไม่ได้ แหม่ ถ้าเลี้ยงได้นี่ ผมลืมสตาร์ไปเลยแน่นอน 5555




อันนี้ ตอนแรก ผมถ่ายมาก่อน ไม่รู้ว่าอะไร มาถามพี่ป๊อปบนเรืออีกที ได้ความว่า เห็ดขน ครับ สวยดีนะ ไม่รู้เลี้ยงรอดหรือเปล่า

un_petit_garcon ออฟไลน์
Club Brother
« ตอบ #12 เมื่อ: 23/11/14, [11:59:04] »
ตอบโดยอ้างถึงข้อความ

แถ่นแท้นนนน มาละครับ พระเอกของเรา ส้มขาวในดงแอน น่ารักเนาะ ฟุ้งฟิ้งมุ้งมิ้ง ^^"




Wall Dive บริเวณหินม่วงครับ




ดาวขนนกกำลังบาน ฝีมือพี่ป๊อป คุณมอดของเรานั่นเองครับ

un_petit_garcon ออฟไลน์
Club Brother
« ตอบ #13 เมื่อ: 23/11/14, [12:03:07] »
ตอบโดยอ้างถึงข้อความ

ปิดท้ายสำหรับช่วงนี้ด้วยภาพช่อม่วงและช่อแดง บริเวณหินม่วงหินแดงกันอีกสัก 2 ภาพนะครับ โดนแม่เรียกไปช่วยเก็บผักและ






การดำน้ำอย่างมีสวัสดิภาพทั้งหมดทั้งมวลนี้ ขอยกเป็นความดีความชอบของ Dive lead ของเราครับ (คนกลาง)

un_petit_garcon ออฟไลน์
Club Brother
« ตอบ #14 เมื่อ: 23/11/14, [12:04:25] »
ตอบโดยอ้างถึงข้อความ

เด๋วติดไว้ก่อนนะ เย็นๆ ค่ำๆ ไปดูฮังเกอร์เกมส์เส็ด กลับมาจะลงรูปเพิ่มครับ ^^"
un_petit_garcon ออฟไลน์
Club Brother
« ตอบ #15 เมื่อ: 23/11/14, [12:14:36] »
ตอบโดยอ้างถึงข้อความ

เยี่ยมครับ ดำไปถ่ายรูปไปน่าสนุก

ขอบคุณครับ ^^" ดำแบบไม่ถ่ายอาจสนุกกว่าก็ได้นะครับ ไม่เชื่อถามพี่ป๊อป 5555
un_petit_garcon ออฟไลน์
Club Brother
« ตอบ #16 เมื่อ: 23/11/14, [12:15:54] »
ตอบโดยอ้างถึงข้อความ

งามๆเนอะเอามาอีกเยอะ [เจ๋ง]
ป.ล.ถ้วยส้มมันหักปักพื้นทรายอยู่แล้วนะเราแค่หยิบมาถ่ายแล้วหาทำเลปลูกใหม่ให้สวยๆ

สักพัก โดนชั้นตีฟินใส่ ล้มระเนระนาดเหมือนเดิม 5555
Romeo_Pop ออฟไลน์
Level 5 Moderator
« ตอบ #17 เมื่อ: 23/11/14, [16:13:51] »
ตอบโดยอ้างถึงข้อความ

 [on_026] เอาอีกๆ
Monjar ออฟไลน์
Club Member
« ตอบ #18 เมื่อ: 23/11/14, [21:33:14] »
ตอบโดยอ้างถึงข้อความ

สวยจังเลยยย  [กรี๊ดดดด]
un_petit_garcon ออฟไลน์
Club Brother
« ตอบ #19 เมื่อ: 23/11/14, [23:39:57] »
ตอบโดยอ้างถึงข้อความ

สวยจังเลยยย  [กรี๊ดดดด]

ขอบคุณครับ ^^"
un_petit_garcon ออฟไลน์
Club Brother
« ตอบ #20 เมื่อ: 23/11/14, [23:43:59] »
ตอบโดยอ้างถึงข้อความ

กลับมาละครับ หลังจากไปดูฮังเกอร์เกมมา หนังอเมริกานี่ เน้นความเป็นโลกเสรีมา ตั้งแต่ยุคสงครามเย็นจนกระทั่งตอนนี้ก็ยังไม่เปลี่ยนเลยเนอะ

เอาล่ะ ก่อนจะออกทะเลกันไปไกล เราก็ออกทะเลเหมือนเดิมดีกว่า 5555

ปลาข้างล่างนี้ชื่ออะไรไม่แน่ใจ เห็นพี่ป๊อปบอก Trumpet อะไรนี่แหละ จำไม่ได้ 5555 สวยและแปลกดีครับ ถ้าลงตู้ได้คงเจ๋ง




ช่อสีสีชมพูอ่อนครับ



un_petit_garcon ออฟไลน์
Club Brother
« ตอบ #21 เมื่อ: 23/11/14, [23:48:50] »
ตอบโดยอ้างถึงข้อความ

ปลาไหลมอเร่ย์ บริเวณหินม่วงหรือหินแดง จำไม่ได้ เอาเป็นว่า แถวๆ นั้นนั่นแหละ 555

ภาพนี้เครดิตฝีมือพี่ป๊อป คุณมอดของเราครับ ใจกล้าจริงๆ ที่เข้าไปถ่ายใกล้ขนาดนั้น ผมกลัวปลามันจะงับนิ้วขาด เลยได้แต่ถ่ายห่างๆ แล้วจะเอามาครอป ปรากฏว่าแสงไปไม่ถึง สวยสู้ของพี่ป๊อปไม่ได้เลย 5555 เลยเอาของพี่เค้ามาลงดีกว่าครับ






Scorpion ครับ ฝีมือพี่ป๊อปอีกแล้ว เพราะผมมองผ่านเลยไป นึกว่าก้อนหินครับ 5555 ก็นะ มันพรางตัวเนียนน่ะ เพิ่งมาเห็นว่าเจ้าตัวนี้อยู่ในกล้องก็ตอนขึ้นมาจากน้ำนี่แหละครับ พี่เค้าถ่ายไว้ให้

un_petit_garcon ออฟไลน์
Club Brother
« ตอบ #22 เมื่อ: 23/11/14, [23:56:50] »
ตอบโดยอ้างถึงข้อความ

Moorish Idol ตัวนี้เป็นหนึ่งในปลาขวัญใจของผมเลยครับ ติดทำเนียบเคียงคู่กับเอ็มลายแม่ และพาวบลูเลย พบได้ทั่วไปทางน่านน้ำมหาสมุทรอินเดียงฝั่งตะวันออกครับ กระจายตัวตั้งแต่ทะเลอันดามันไปจนถึงมัลดีฟส์ เช่นเดียวกับพาวเดอร์บลู เอ็มแองเจิ้ล แต่ไม่แน่ใจว่าจะกระจายเลยไปไกลถึงทางอินโด หรือทะเล ตอ กลาง และ แอฟริกา หรือเปล่านะครับ น่าเสียใน ใน Live aquaria เค้าจัดอยู่ในกลุ่ม Expert only ครับ ผมก็ไม่มั่นใจในความ "เผิด" ของตัวเอง เลยได้แต่ต้องไปมุดหัวดูมันในทะเลครับ T_T




ปลาอะไร ไม่รู้ชื่อ รู้แต่ว่าแปลกดีครับ ^^" ลืมบอกตั้งแต่ทีแรกว่า ปลาหรือก้นตู้ที่ผมไม่รู้ว่าเรียกว่าอะไร ถ้าพอจะบอกเพื่อประดับคนความรู้น้อยอย่างผมได้ จักเป็นพระคุณยิ่งครับ ^^"

un_petit_garcon ออฟไลน์
Club Brother
« ตอบ #23 เมื่อ: 24/11/14, [00:03:58] »
ตอบโดยอ้างถึงข้อความ

ช่อสีสีแดงยามค่ำคืนที่หินแดงครับ เวลาถ่ายภาพใต้ทะเลในเวลากลางคืน ไร้แสงสีฟ้า ทำให้เราได้เห็นแสงสีของโลกใต้น้ำได้อย่างชัดเจน เป็นสีจริง ไม่อมฟ้าเหมือนตอนกลางวัน ทำให้สีดูสดใสขึ้นครับ แต่ทั้งนี้ทั้งนั้น ไฟฉายหรือแฟลชก็ต้องแรงมากด้วยเช่นกัน




สัตว์เลี้ยงแสนรักยอดนิยมประจำตู้ของเราอีก 1 ตัวครับ กุ้งนักเลง พี่ป๊อปเป็นคนหาเจอ ผมไปถ่ายรูป ถ่ายได้สามที เล็งแสงแบบ มะกอกสามตะกร้าปาไม่ถูก 5555 สุดท้าย พี่ป๊อปคงรำคาญ คว้ากล้องไปถ่ายเอง (อีกแล้ว 555) งานนี้ ภาพนี้เลยเครดิตพี่ป๊อปเช่นเคยครับ ^^"



un_petit_garcon ออฟไลน์
Club Brother
« ตอบ #24 เมื่อ: 24/11/14, [00:07:02] »
ตอบโดยอ้างถึงข้อความ

ปลาสิงโตบริเวณหินแดง อายใหญ่ ไม่ต้องมาถามหาคันผิดกันเลเทียว 5555




ตูนลายปล้องกับแอนก้นม่วง แบบน่ารักๆ 555

« แก้ไขครั้งสุดท้าย: 24/11/14, [00:09:09] โดย un_petit_garcon »
un_petit_garcon ออฟไลน์
Club Brother
« ตอบ #25 เมื่อ: 24/11/14, [00:10:27] »
ตอบโดยอ้างถึงข้อความ

ขออนุญาตแปะโป้งไว้ก่อนนะครับ จริงๆ มีอีกเยอะ แต่คงเอามาลงไม่หมดในวันนี้แน่ๆ
Nava Coral Reef ออฟไลน์
Club Veteran
« ตอบ #26 เมื่อ: 24/11/14, [05:51:07] »
ตอบโดยอ้างถึงข้อความ

สวยมากครับ ขอบคุณ จขกท.และAdmin ป๊อป  มา ณ ที่นี้ด้วยครับ  [เจ๋ง]
un_petit_garcon ออฟไลน์
Club Brother
« ตอบ #27 เมื่อ: 24/11/14, [21:01:25] »
ตอบโดยอ้างถึงข้อความ

มาส่งการบ้านเพิ่มละค๊าบบบบ

ปลาไหลมอเร่ย์ ตอนเกือบจะกลางคืน




ไอ้เจ้านี่นี่ ผมอยากรู้มากเลยว่ามันคือปะการังอะไร เคยเห็นมาสองรอบละ ที่สิมิลันเจอได้เยอะมาก ที่ฝั่งนี้จะเจอได้น้อยกว่าหน่อย ตอนแรกนึกว่าแอนนม แต่ทีนี้เจอเป็นทุ่งขนาดนี้ เลยไม่น่าใช่ละ 5555 ใครพอจะรู้มั่งครับ




เจ้าตัวนี้ ขึ้นทำเนียบปลาสามัญประจำบ้านอีกหนึ่งราย Sixline wrasse ครับ เจอได้เยอะพอสมควร แต่ถ่ายรูปยากสุดๆ ไปเลยครับ ตัวนี้

un_petit_garcon ออฟไลน์
Club Brother
« ตอบ #28 เมื่อ: 24/11/14, [21:09:52] »
ตอบโดยอ้างถึงข้อความ

Longnose butterfly เป็นปลาสุดที่รักของผมอีกตัวหนึ่ง แต่มันกินก้นตู้ เลยอดเลี้ยงไป 5555 ผมเจอเจ้าตัวนี้ทั้งที่อันดามันใต้ สิมิลัน และมัลดีฟส์เช่นกัน




ฝูงปลาวัวตัวน้อยๆ กำลังน่ารัก บินไปบินมารอบกอช่อสี เหมือนผีเสื้อตอมดอกไม้ สวยงามเชียวครับ




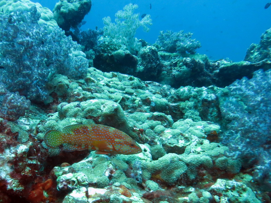
เป็นอีกหนึ่งในปลาที่เราคุ้นเคยกันดีครับ ไม่ใช่คุ้นเคยในตู้นะ คุ้นเคยอยู่บนจานนึ่งซีอิ๊วนึ่งมะนาว หรือไม่ก็แปรสภาพเป็นข้าวต้มปลา 5555 ปลาเก๋านั้นเองครับ เป็นอีกหนึ่งชนิดที่ผมชอบมากและอยากเลี้ยงไว้ในตู้เช่นกัน มันสวยดี ทริปนี้ผมไล่ตามถ่ายเจ้าปลานี้หลายรูปมาก แต่ถ่ายได้ยากเหลือเกิน เพราะมันไวมาก เข้าไปใกล้หน่อยเดียว ก็ว่ายหนีแล้ว เป็นอีกหนึ่งปลาที่ผมชอบมาก หมายถึงชอบอยากเลี้ยงไว้ในตู้นะ เพราะมันสวยงาม และบางคนก็นิยมเลี้ยงเป็นปลาสวยงามจริงๆ เสียด้วย แต่มันกินกุ้งกินปลาเล็ก ก็เลยต้องตัดไปอีกตามระเบียบ 5555 ส่วนพี่ป๊อปขอบเรา ก็ชอบเหมือนกันครับ ชอบกินนะ ^^"

Bulioapq ออฟไลน์
Club Veteran
« ตอบ #29 เมื่อ: 24/11/14, [21:12:51] »
ตอบโดยอ้างถึงข้อความ



ผมว่าน่าจะเป็น เพรท ดูจากหนวดๆ อวบๆ งอๆตรงปลาย แต่ถ้าเป็นเพรทจิงๆ
มั น ใ ห ญ่ ม า ก กกกก  sho01
หน้า: 1 2 3   ขึ้นบน
พิมพ์
กระโดดไป: