Aqua.c1ub.net
*
  Wed 11/Feb/2026
หน้า: 1   ลงล่าง
พิมพ์
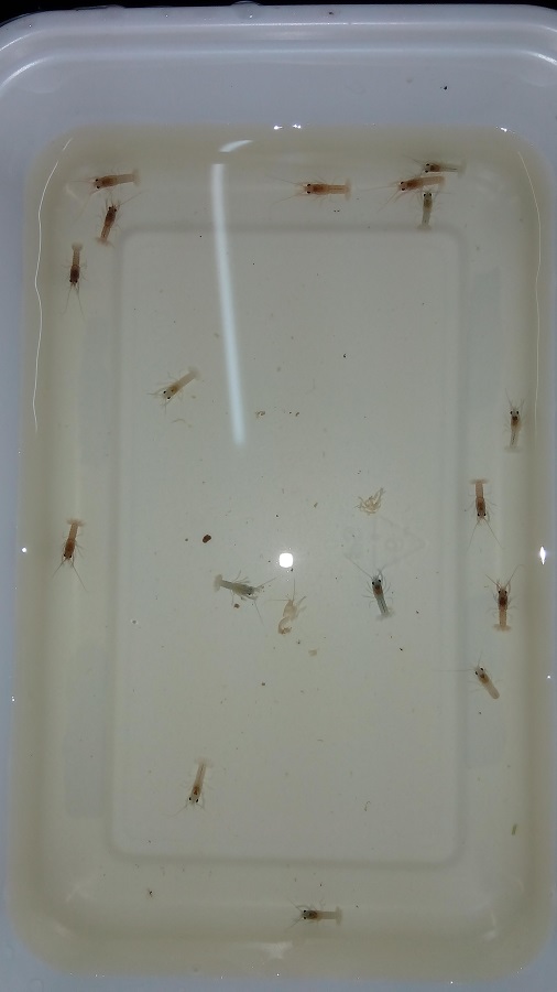
ผู้เขียน หัวข้อ: ก้ามแดง ลงเดิน 10 บาท  (อ่าน 815 ครั้ง)
jawlive ออฟไลน์
Club Member
« เมื่อ: 10/11/16, [15:12:58] »
ตอบโดยอ้างถึงข้อความ

ก้ามแดงบลู 2.1 - 2.5 นิ้ว + ลงเดินบลูผสมธรรมดา
0817772110 เป็ด


*** กุ้งอยู่พระประโทน-บ้านแพ้ว นัดรับส่งฟรีบ้านแพ้ว - องค์พระ / วันศุกร์ช่่วงบ่าย - เย็นรับกุ้งได้ที่พระราม 2 - แม๊คโครบางบอน ส่ง ตจว.เฉพาะไซส์สองนิ้วครับ ค่าส่งEms 200 บาท ***

ลงเดิน 2 อาทิตย์ 8 มิล-1เซ็นต์ สีบลู 60 %สีธรรมดา 40 %ปนกัน มี700 ตัวๆ ละ 13 บาท

ก้ามแดงบลู
A. ผู้+เมีย 2.5 นิ้ว คู่ละ 280 บาท
B. ผู้+เมีย 2.3 นิ้ว คู่ละ 260 บาท
C. ผู้ 2.3 เมีย 2.1 คู่ละ 250 บาท ตัวผู้เปลือกปูดนิดนึงลอกคราบน่าจะหาย
D. ผู้ 2.4 เมีย 2.3 คู่ละ 270 บาท ตัวผู้ก้ามเดียว
E. ผู้ 2.4 เมีย 2.3 คู่ละ 270 บาท












« แก้ไขครั้งสุดท้าย: 16/11/16, [21:36:07] โดย jawlive »
jawlive ออฟไลน์
Club Member
« ตอบ #1 เมื่อ: 10/11/16, [19:55:10] »
ตอบโดยอ้างถึงข้อความ

รายการ A และ B ติดจอง
ลงเดินเหลือ 550 ตัว
jawlive ออฟไลน์
Club Member
« ตอบ #2 เมื่อ: 13/11/16, [14:57:14] »
ตอบโดยอ้างถึงข้อความ

เหลือลงเดิน 500 ตัว เหมาๆ 6000  บาท

กุ้งอยู่พระประโทน-บ้านแพ้ว นัดรับส่งฟรีบ้านแพ้ว - องค์พระ / วันจันทร์ที่ 14ุ์ ช่่วงบ่าย - เย็นรับกุ้งได้ที่พระราม 2 - แม๊คโครบางบอน ส่ง ตจว.เฉพาะไซส์สองนิ้วครับ ค่าส่งEms 200 บาท
jawlive ออฟไลน์
Club Member
« ตอบ #3 เมื่อ: 16/11/16, [21:27:54] »
ตอบโดยอ้างถึงข้อความ

ก้ามแดงลงเดิน 1 เซ็นต์ ตัวละ 12 บาทมี 400 ตัว
ลงเดิน 1 อาทิตย์ ตัวละ 10 บาทมี 300 ตัว

ก้ามแดงบลู2.5 นิ้ว คู่ละ 280 / 2.4 นิ้วคุ๋ละ 260 / 2.3 นิ้ว คู่ละ 240

*** กุ้งอยู่พระประโทน-บ้านแพ้ว ส่งฟรี บ้านแพ้ว - องค์พระ / วันเสาร์ที่ 19ุ์ ช่่วงบ่าย - เย็นรับกุ้งได้ที่ บางบอน 5 / แม๊คโครบางบอน ค่าส่งEms 200 บาท ***





หน้า: 1   ขึ้นบน
พิมพ์
กระโดดไป: